- By Dan Veaner
- News
Print 
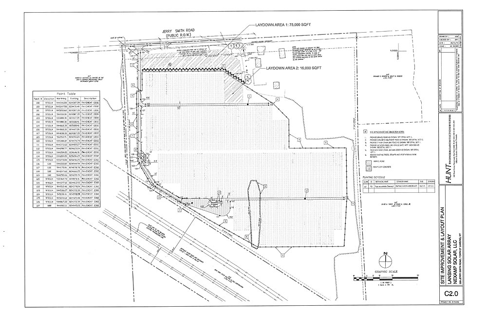
The Lansing Planning Board considered a sketch plan application for a new 5MW, 24 acre solar array project Monday, proposed for a site on Jerry Smith Road in Lansing. According to Nexamp New York Project Developer Joe Fiori the project will offer discounted renewable energy to residents of Tompkins County and surrounding communities. Nexamp is a northeast solar development company, with projects in Massachusetts and Rhode Island, and New York State.
"All of these projects are Community Solar projects," Fiori said. "The electricity that we generate is sold to any resident or small business that chooses to participate. Fiori said participants pay about 10% less for electricity generated by his company."
Fiori summarized the benefits of his company's community solar projects are a clean source of energy, electricity savings to homeowners and small businesses, and tax revenue to the community itself. He said that his company owns and operates the facilities they build, providing stability to communities and guaranteeing consistency over the course of the project. He added that the company is considered one of the top three community solar developers nation-wide.
Fiori explained the company would be renting 24 acres of Wayne and Doris Straw's farm land, constructing the solar array in a fashion that could be converted back to viable farm land when the project is concluded. Ne said Nexamp calculates the life of the project at about 35 years. The company will deposit money in an escrow account to cover the cost of decommissioning the solar array at the end of the project and restore the farm land. Fiori said the property's location near a connection to the power grid is an essential piece of the plan that will not only make the solar array possible, but help Nexamp in obtaining financing.
No buildings are proposed for the project, but two concrete pads will hold inverters and other electrical components that Fiore said would be enclosed in weather-proof cases.
Nine counties may benefit from the solar array once it goes online. Fiore said that Nexamp partners with towns to get the word out that community solar is available. He said a community solar project in Newfield is already completed, but waiting for a connection from NYSEG.
Fiori said that community solar billing is different from typical bills in New York where you pay separately for delivery and supply, often paying an Energy Service Company (ESCO) the delivery portion and NYSEG for supply. He said the rules are different because it is considered valuable to create local sources of clean energy that is not being imported elsewhere. That means that all but about $15 of the entire bill can be offset with the 10% discount, not just the supply portion.
"Community solar is not a competitive supplier, meaning we're not the supply portion of your bill," he said. "Community solar is prominent in some nearby states. We generate electricity, and for every killowatt hour that we generate we get compensated by the utility in the form of net meter credits. Then it's up to us to assign those dollar amounts to individual homeowners and small businesses such that on an annual basis we are offsetting 100% of your electric bill. You would pay NYSEG zero dollars, and instead Nexamp would invoice you at 90%."
Lansing Planning Consultant Michael Long said the next step is for Nexamp to refine the site plan and complete a Stormwater Pollution Prevention Plan (SWPPP) that will be reviewed by the Town engineer over about 30 days. The Planning Board will hold a public hearing before doing an environmental review and voting on whether to approve the site plan.
v14i37


